Both Work Session and Regular Session are today, Monday, January 12, 2026, for the Lowndes County Commission. I don’t know why.
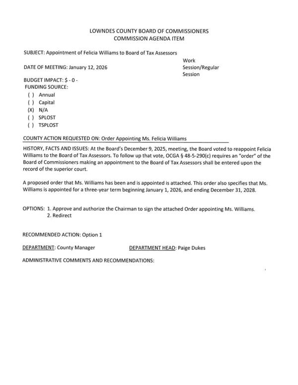
They didn’t do the appointment right in December for Felicia Williams as a Tax Assessor, so do-over today.
Frances Brown wants to be reappointed to the Lowndes County Board of Health.
As required by state law, they’re setting the qualifying fee to run for County Commissioner: it’s $450.
Three grant application or acceptance items are on the agenda, for Juvenile Justice and Victims of Crime Act (VOCA).
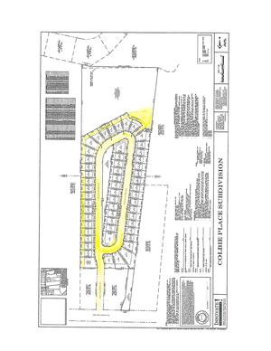
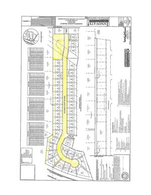
Two Acceptance of Infrastructure, for Knights Landing Phase IV Section I, and for Colbie Place Subdivision on River Road.
Four road widening items, and one Abandonment of Grice Road.
Collage @ LCC Packet 2026-01-12
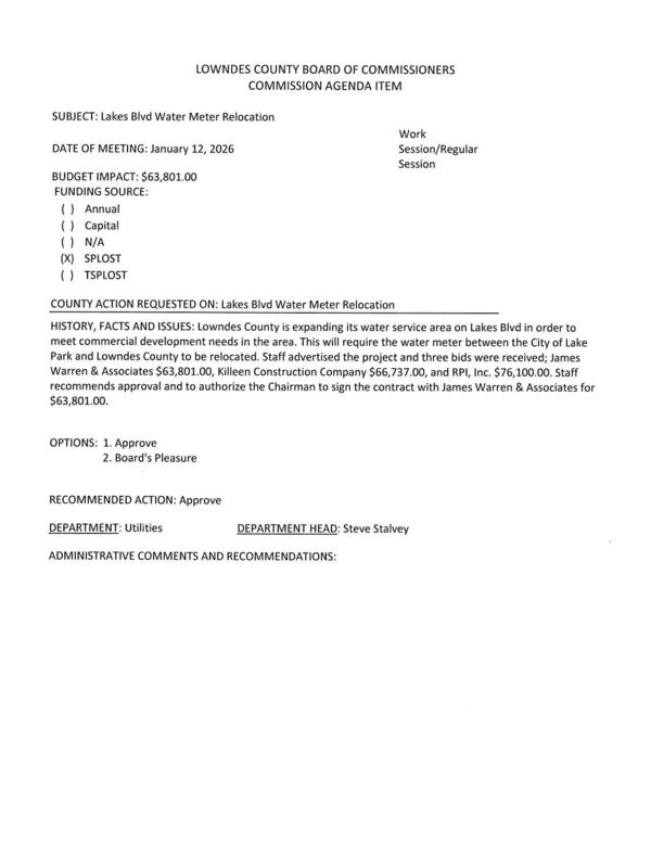
Finally, $63,801.00 from SPLOST for 10. Lakes Blvd Water Meter Relocation “to meet commercial development needs in the area.” At least it’s in Lake Park, so it’s not sprawl.
It’s interesting that they count that SPLOST expenditure as “BUDGET IMPACT”
but for
9.h.
FY 2026 Local Maintenance & Improvement Grant (LMIG) Application
the agenda sheet says “BUDGET IMPACT: N/A; 10% match allocated in SPLOST VIII” for Lake Alapaha Boulevard and other roads.
Here is the agenda.
The board packet, received in response to a LAKE open records request, is on the LAKE website.
If they put it on their own website, lowndescounty.com, under Agenda Center, nobody would have to file an open records request and county staff wouldn’t have to spend time sending out packets.
LOWNDES COUNTY BOARD OF COMMISSIONERS
PROPOSED AGENDA
WORK SESSION, MONDAY, JANUARY 12, 2026, 8:30 a.m.
REGULAR SESSION, MONDAY, JANUARY 12, 2026, 5:30 p.m.
327 N. Ashley Street – 2nd Floor
- Call to Order
- Invocation
- Pledge of Allegiance to the Flag
- I Love Public Schools Day Joint Proclamation (Work Session)
- Acknowledgement of Lowndes County Probation's Annual Audit (Work Session)
- Dr. Lucy Greene – Moody Support (Regular Session)
- Minutes for Approval
- Appointment
- For Consideration
- Set Qualifying Fees
Documents:Set Qualifying Fees 2026.pdf
- Appointment of Felicia Williams to Board of Tax Assessors
Documents:Appointment of Felicia Williams to Board of Tax Assessors.pdf
- Acceptance of FY2026 Juvenile Justice Delinquency Prevention Grant
Documents:Acceptance of FY2026 Juvenile Justice Delinquency Prevention Grant.pdf
- Approval of the Solicitor General’s FY26 VOCA Grant Award AW-VOCA-25-071-012
Documents:Approval of the Solicitor General FY26 VOCA Grant Award.pdf
- Approval of DA’s FY 2026 VOCA Grant Application Renewal Sub-Grant Number: AW-VOCA-25-071-012 Federal Amount: $137,368
Documents:Approval of DA FY 2026 VOCA Grant Application Renewal.pdf
- Acceptance of Infrastructure for Knights Landing Phase IV Section I
Documents:Acceptance of Infrastructure for Knights Landing.pdf
- Acceptance of Infrastructure for Colbie Place Subdivision
Documents:Acceptance of Infrastructure for Colbie Place Subdivision.pdf
- FY 2026 Local Maintenance & Improvement Grant (LMIG) Application
Documents:FY 2026 Local Maintenance and Improvement Grant Application.pdf
- Transportation Investment Act (TIA) – Hickory Grove Road Widening and Skipper Bridge Road Widening
Documents:Transportation Investment Act – Hickory Grove Road Widening and Skipper Bridge Road Widening.pdf
- Transportation Investment Act (TIA) – Val Del Road Widening Local Agreement
Documents:Transportation Investment Act – Val Del Road Widening Local Agreement.pdf
- PI 0016280, Just Compensation, Twin Lakes Road Right of Way Parcel 3
Documents:PI 0016280, Just Compensation, Twin Lakes Road Right of Way Parcel 3.pdf
- Abandonment of Grice Road
Documents:Abandonment of Grice Road.pdf
- Bid
- Reports – County Manager
- Citizens Wishing to be Heard-Please State Your Name and Address
- Adjournment
Presentations, Appointment, For Consideration
PDF
There are more images below.
-jsq
Investigative reporting costs money, for open records requests, copying, web hosting, gasoline, and cameras, and with sufficient funds we can pay students to do further research. You can donate to LAKE today!
http://www.l-a-k-e.org/blog/donate
Lowndes County Board of Health
Frances Brown wants to be reappointed.
PDF
$450 to run for County Commissioner
PDF
Appointment of Felicia Williams to Board of Tax Assessors
State law requires and order to do what they voted last month.
PDF
Acceptance of FY2026 Juvenile Justice Delinquency
BUDGET IMPACT: No local match is required, resulting in no impact; CJCC funding
PDF
This Agreement is executed by and between Peaceway Counseling and Mediation
PDF
Either party may terminate this Agreement for cause upon providing notice to the
PDF
Either party may terminate this Agreement for convenience upon providing notice to
PDF
Approval of the Solicitor General’s FY26 VOCA Grant Award AW-VOCA-25-071-012
BUDGET IMPACT: $33,232.00 Cash Match
PDF
Approval of DA’s FY 2026 VOCA Grant Application Renewal Sub-Grant Number: AW-VOCA-25-071-012 Federal Amount: $137,368
BUDGET IMPACT: Zero Impact on County
PDF
Acceptance of Infrastructure for Knights Landing Phase IV
BUDGET IMPACT: N/A; Bemiss Knights Academy Road and Duchess Court, 39 lots
PDF
On behalf of James Warren & Associates and K-Quatro Development, we would like to formally request
PDF
Acceptance of Infrastructure for Colbie Place Subdivision
FY 2026 Local Maintenance & Improvement Grant (LMIG)
BUDGET IMPACT: N/A; 10% match allocated in SPLOST VIII; Lake Alapaha Boulevard and other roads
PDF
Old Valdosta Road, Coffee Road, Kings Way, Camelot Crossing, Old US 41, GA 7, Guest Road, GA 125, Bemiss Road, Bemiss Knights Academy Road, James Road, GA 38, GA 133, Idlewood Drive, Whitewater Road, Newton Circle, Waverly Drive, Woodcreek Court
PDF
Transportation Investment Act (TIA) – Hickory Grove Road Widening and Skipper Bridge Road Widening
TRANSPORTATION INVESTMENT ACT OF 2010 PROJECT AGREEMENT
PDF
notice to proceed to the LOCAL GOVERNMENT to stake the ROW and proceed with all pre-acquisition ROW
PDF
reject the bids. If a recommendation to award is given by the DEPARTMENT a written Notice to Proceed with
PDF
DEPARTMENT of written Notice to Proceed for each Phase as outline in Article I.D above.
PDF
(TS SOLE DISCRETION TO TERMINATE THIS AGREEMENT IMMEDIATELY UPON NOTICE TO THE LOCAL
PDF
PROJECT COST as set forth in O.C.G.A. § 48-8-242(2) and the Intergovernmental Agreement
PDF
notice to the LOCAL GOVERNMENT and without further obligation on the part of the DEPARTMENT: or
PDF
cause, or for no cause upon sixty (60) days written notice to the LOCAL GOVERNMENT, notwithstanding any
PDF
Records Act, O.C.G.A. Section 50-18-70, et.seq., the restrictions and penalties set forth herein shall not apply.
PDF
amended by Supplemental Agreement No.1 dated October 23, 2013, and Supplemental Agreement
PDF
this Agreement and are incorporated herein by reference.
PDF
G. LOCAL GOVERNMENT acknowledges and agrees that failure to complete appropriate
PDF
electronic project schedule shall be submitted to the DEPARTMENT after execution of this Agreement
PDF
to be executed prior to beginning work. A written Notice to Proceed from the Department is also required
PDF
Section 1- Local Government Applicant Information
PDF
Section 11]-Method of Delivery
PDF
Transportation Investment Act (TIA) – Val Del Road Widening Local Agreement
COUNTY ACTION REQUESTED ON: Val Del Road Widening Agreement
PDF
TRANSPORTATION INVESTMENT ACT OF 2010 PROJECT AGREEMENT
PDF
notice to proceed to the LOCAL GOVERNMENT to stake the ROW and proceed with all pre-acquisition ROW
PDF
reject the bids. If a recommendation to award is given by the DEPARTMENT a written Notice to Proceed with
PDF
DEPARTMENT of written Notice to Proceed for each Phase as outline in Article I.D above.
PDF
ITS SOLE DISCRETION TO TERMINATE THIS AGREEMENT IMMEDIATELY UPON NOTICE TO THE LOCAL
PDF
PROJECT COST as set forth in O.C.G.A. § 48-8-242(2) and the intergovernmental Agreement
PDF
notice to the LOCAL GOVERNMENT and without further obligation on the part of the DEPARTMENT; or
PDF
cause, or for no cause upon sixty (60) days written notice to the LOCAL GOVERNMENT, notwithstanding any
PDF
Records Act, 0.C.G.A. Section 50-18-70, et.seq., the restrictions and penalties set forth herein shall not apply.
PDF
amended by Supplemental Agreement No.1 dated October 23, 2013, and Supplemental Agreement
PDF
executed in any number of counterparts, each of which so executed shall be deemed to be an original, and
PDF
G. LOCAL GOVERNMENT acknowledges and agrees that failure to complete appropriate
PDF
electronic project schedule shall be submitted to the DEPARTMENT after execution of this Agreement
PDF
to be executed prior to beginning work. A written Notice to Proceed from the Department is also required
PDF
Section I — Local Government Applicant Information
PDF
Section [1I-Method of Delivery
PDF
PI 0016280, Just Compensation, Twin Lakes Road Right of
A RESOLUTION OF THE BOARD OF COMMISSIONERS OF LOWNDES COUNTY
PDF
Map: County Road Right of Way for Twin Lakes Road CR 390 (1 of 4)
PDF
Map: County Road Right of Way for Twin Lakes Road CR 390 (2 of 4)
PDF
Map: County Road Right of Way for Twin Lakes Road CR 390 (3 of 4)
PDF
Map: County Road Right of Way for Twin Lakes Road CR 390 (4 of 4)
PDF
Abandonment of Grice Road
BUDGET IMPACT: N/A, from Newsome Road to dead end
PDF
Lakes Blvd Water Meter Relocation
BUDGET IMPACT: $63,801.00 FUNDING SOURCE: (x) SPLOST to meet commercial development needs in the area.
PDF
December-8-2025-Work-Session-Minutes
uses and lot sizes, the availability of County Utilities, the nearby existing school campus (Lowndes
PDF
Commissioner Marshall, stated as it pertains to the new school that will be built, the school zone will
PDF
the increased jail population, the Commission is working to track and implement improvements to help
PDF
December-9-2025-Regular-Session-Minutes
uses and lot sizes, the availability of County Utilities, the nearby existing school campus (Lowndes
PDF
$922,192.56 savings. approval and authorize the Chairman to sign the agreement
PDF
Short Link:
![[Bid, Reports, CWTBH]](http://www.l-a-k-e.org/govt/loco/2026-01-12--lcc-packet/January-12-2026-Meeting-Packet-0002.jpg)
![[A RESOLUTION OF THE LOWNDES COUNTY BOARD OF COMMISSIONERS]](http://www.l-a-k-e.org/govt/loco/2026-01-12--lcc-packet/small/January-12-2026-Meeting-Packet-0005.jpg)
![[Page 7]](http://www.l-a-k-e.org/govt/loco/2026-01-12--lcc-packet/small/January-12-2026-Meeting-Packet-0007.jpg)
![[Page 9]](http://www.l-a-k-e.org/govt/loco/2026-01-12--lcc-packet/small/January-12-2026-Meeting-Packet-0009.jpg)
![[Page 13 is blank]](http://www.l-a-k-e.org/govt/loco/2026-01-12--lcc-packet/small/January-12-2026-Meeting-Packet-0013.jpg)
![[Page 14]](http://www.l-a-k-e.org/govt/loco/2026-01-12--lcc-packet/small/January-12-2026-Meeting-Packet-0014.jpg)
![[Sincerely,]](http://www.l-a-k-e.org/govt/loco/2026-01-12--lcc-packet/small/January-12-2026-Meeting-Packet-0016.jpg)
![[Page 17]](http://www.l-a-k-e.org/govt/loco/2026-01-12--lcc-packet/small/January-12-2026-Meeting-Packet-0017.jpg)
![[Sincerely,]](http://www.l-a-k-e.org/govt/loco/2026-01-12--lcc-packet/small/January-12-2026-Meeting-Packet-0019.jpg)
![[To Whom It May Concern]](http://www.l-a-k-e.org/govt/loco/2026-01-12--lcc-packet/small/January-12-2026-Meeting-Packet-0020.jpg)
![[Map: Knights Landing Phase IV Section 1]](http://www.l-a-k-e.org/govt/loco/2026-01-12--lcc-packet/small/January-12-2026-Meeting-Packet-0023.jpg)
![[RESOLUTION]](http://www.l-a-k-e.org/govt/loco/2026-01-12--lcc-packet/small/January-12-2026-Meeting-Packet-0024.jpg)
![[River Road, 54 lots]](http://www.l-a-k-e.org/govt/loco/2026-01-12--lcc-packet/January-12-2026-Meeting-Packet-0025.jpg)
![[Map: Colbie Place Subdivision]](http://www.l-a-k-e.org/govt/loco/2026-01-12--lcc-packet/small/January-12-2026-Meeting-Packet-0026.jpg)
![[RESOLUTION]](http://www.l-a-k-e.org/govt/loco/2026-01-12--lcc-packet/small/January-12-2026-Meeting-Packet-0027.jpg)
![[Signature]](http://www.l-a-k-e.org/govt/loco/2026-01-12--lcc-packet/small/January-12-2026-Meeting-Packet-0030.jpg)
![[Signature]](http://www.l-a-k-e.org/govt/loco/2026-01-12--lcc-packet/small/January-12-2026-Meeting-Packet-0031.jpg)
![[Signature]](http://www.l-a-k-e.org/govt/loco/2026-01-12--lcc-packet/small/January-12-2026-Meeting-Packet-0032.jpg)
![[Respectfully]](http://www.l-a-k-e.org/govt/loco/2026-01-12--lcc-packet/small/January-12-2026-Meeting-Packet-0033.jpg)
![[Signature]](http://www.l-a-k-e.org/govt/loco/2026-01-12--lcc-packet/small/January-12-2026-Meeting-Packet-0034.jpg)
![[Widening Agreement, GDOT]](http://www.l-a-k-e.org/govt/loco/2026-01-12--lcc-packet/January-12-2026-Meeting-Packet-0035.jpg)
![[NOW, THEREFORE, in consideration of the mutual promises and the benefits to flow from one to the]](http://www.l-a-k-e.org/govt/loco/2026-01-12--lcc-packet/small/January-12-2026-Meeting-Packet-0037.jpg)
![[IN WITNESS WHEREOF]](http://www.l-a-k-e.org/govt/loco/2026-01-12--lcc-packet/small/January-12-2026-Meeting-Packet-0049.jpg)
![[Page 50]](http://www.l-a-k-e.org/govt/loco/2026-01-12--lcc-packet/small/January-12-2026-Meeting-Packet-0050.jpg)
![[Page 52]](http://www.l-a-k-e.org/govt/loco/2026-01-12--lcc-packet/small/January-12-2026-Meeting-Packet-0052.jpg)
![[Page 53]](http://www.l-a-k-e.org/govt/loco/2026-01-12--lcc-packet/small/January-12-2026-Meeting-Packet-0053.jpg)
![[Page 54]](http://www.l-a-k-e.org/govt/loco/2026-01-12--lcc-packet/small/January-12-2026-Meeting-Packet-0054.jpg)
![[Page 58]](http://www.l-a-k-e.org/govt/loco/2026-01-12--lcc-packet/small/January-12-2026-Meeting-Packet-0058.jpg)
![[Signature]](http://www.l-a-k-e.org/govt/loco/2026-01-12--lcc-packet/small/January-12-2026-Meeting-Packet-0059.jpg)
![[PROCUREMENT REQUIREMENTS]](http://www.l-a-k-e.org/govt/loco/2026-01-12--lcc-packet/small/January-12-2026-Meeting-Packet-0060.jpg)
![[Signature]](http://www.l-a-k-e.org/govt/loco/2026-01-12--lcc-packet/small/January-12-2026-Meeting-Packet-0061.jpg)
![[TRANSPORTATION INVESTMENT ACT OF 2010 PROJECT AGREEMENT]](http://www.l-a-k-e.org/govt/loco/2026-01-12--lcc-packet/small/January-12-2026-Meeting-Packet-0062.jpg)
![[Page 63]](http://www.l-a-k-e.org/govt/loco/2026-01-12--lcc-packet/small/January-12-2026-Meeting-Packet-0063.jpg)
![[Page 64]](http://www.l-a-k-e.org/govt/loco/2026-01-12--lcc-packet/small/January-12-2026-Meeting-Packet-0064.jpg)
![[NOW, THEREFORE, in consideration of the mutual promises and the benefits to flow from one to the]](http://www.l-a-k-e.org/govt/loco/2026-01-12--lcc-packet/small/January-12-2026-Meeting-Packet-0067.jpg)
![[IN WITNESS WHEREOF]](http://www.l-a-k-e.org/govt/loco/2026-01-12--lcc-packet/small/January-12-2026-Meeting-Packet-0079.jpg)
![[Page 80]](http://www.l-a-k-e.org/govt/loco/2026-01-12--lcc-packet/small/January-12-2026-Meeting-Packet-0080.jpg)
![[Page 82]](http://www.l-a-k-e.org/govt/loco/2026-01-12--lcc-packet/small/January-12-2026-Meeting-Packet-0082.jpg)
![[Page 83]](http://www.l-a-k-e.org/govt/loco/2026-01-12--lcc-packet/small/January-12-2026-Meeting-Packet-0083.jpg)
![[Page 84]](http://www.l-a-k-e.org/govt/loco/2026-01-12--lcc-packet/small/January-12-2026-Meeting-Packet-0084.jpg)
![[Page 88]](http://www.l-a-k-e.org/govt/loco/2026-01-12--lcc-packet/small/January-12-2026-Meeting-Packet-0088.jpg)
![[Signature]](http://www.l-a-k-e.org/govt/loco/2026-01-12--lcc-packet/small/January-12-2026-Meeting-Packet-0089.jpg)
![[PROCUREMENT REQUIREMENTS]](http://www.l-a-k-e.org/govt/loco/2026-01-12--lcc-packet/small/January-12-2026-Meeting-Packet-0090.jpg)
![[Signature]](http://www.l-a-k-e.org/govt/loco/2026-01-12--lcc-packet/small/January-12-2026-Meeting-Packet-0091.jpg)
![[TRANSPORTATION INVESTMENT ACT OF 2010 PROJECT AGREEMENT]](http://www.l-a-k-e.org/govt/loco/2026-01-12--lcc-packet/small/January-12-2026-Meeting-Packet-0092.jpg)
![[Page 93]](http://www.l-a-k-e.org/govt/loco/2026-01-12--lcc-packet/small/January-12-2026-Meeting-Packet-0093.jpg)
![[Page 94]](http://www.l-a-k-e.org/govt/loco/2026-01-12--lcc-packet/small/January-12-2026-Meeting-Packet-0094.jpg)
![[BUDGET IMPACT: $12,400.00]](http://www.l-a-k-e.org/govt/loco/2026-01-12--lcc-packet/January-12-2026-Meeting-Packet-0095.jpg)
![[Page 101]](http://www.l-a-k-e.org/govt/loco/2026-01-12--lcc-packet/small/January-12-2026-Meeting-Packet-0101.jpg)
![[My name is]](http://www.l-a-k-e.org/govt/loco/2026-01-12--lcc-packet/small/January-12-2026-Meeting-Packet-0103.jpg)
![[Map: Grice Road]](http://www.l-a-k-e.org/govt/loco/2026-01-12--lcc-packet/small/January-12-2026-Meeting-Packet-0104.jpg)
![[CONTRACT AGREEMENT]](http://www.l-a-k-e.org/govt/loco/2026-01-12--lcc-packet/small/January-12-2026-Meeting-Packet-0106.jpg)
![[issuing ten (10) days written notice to the Contractor.]](http://www.l-a-k-e.org/govt/loco/2026-01-12--lcc-packet/small/January-12-2026-Meeting-Packet-0107.jpg)
![[James Warren & Associates Inc.]](http://www.l-a-k-e.org/govt/loco/2026-01-12--lcc-packet/small/January-12-2026-Meeting-Packet-0108.jpg)
![[IN WITNESS WHEREOF]](http://www.l-a-k-e.org/govt/loco/2026-01-12--lcc-packet/small/January-12-2026-Meeting-Packet-0109.jpg)
![[NOTICE OF AWARD]](http://www.l-a-k-e.org/govt/loco/2026-01-12--lcc-packet/small/January-12-2026-Meeting-Packet-0110.jpg)
![[Page 1]](http://www.l-a-k-e.org/govt/loco/2026-01-12--lcc-packet/December-8-2025-Work-Session-Minutes-0001.jpg)
![[Survey]](http://www.l-a-k-e.org/govt/loco/2026-01-12--lcc-packet/small/December-8-2025-Work-Session-Minutes-0004.jpg)
![[Page 5]](http://www.l-a-k-e.org/govt/loco/2026-01-12--lcc-packet/small/December-8-2025-Work-Session-Minutes-0005.jpg)
![[Page 6]](http://www.l-a-k-e.org/govt/loco/2026-01-12--lcc-packet/small/December-8-2025-Work-Session-Minutes-0006.jpg)
![[ADJOURNMENT]](http://www.l-a-k-e.org/govt/loco/2026-01-12--lcc-packet/small/December-8-2025-Work-Session-Minutes-0008.jpg)
![[Page 1]](http://www.l-a-k-e.org/govt/loco/2026-01-12--lcc-packet/December-9-2025-Regular-Session-Minutes-0001.jpg)
![[Page 2]](http://www.l-a-k-e.org/govt/loco/2026-01-12--lcc-packet/small/December-9-2025-Regular-Session-Minutes-0002.jpg)
![[Page 4]](http://www.l-a-k-e.org/govt/loco/2026-01-12--lcc-packet/small/December-9-2025-Regular-Session-Minutes-0004.jpg)
![[Survey]](http://www.l-a-k-e.org/govt/loco/2026-01-12--lcc-packet/small/December-9-2025-Regular-Session-Minutes-0005.jpg)
![[Page 6]](http://www.l-a-k-e.org/govt/loco/2026-01-12--lcc-packet/small/December-9-2025-Regular-Session-Minutes-0006.jpg)
![[Page 7]](http://www.l-a-k-e.org/govt/loco/2026-01-12--lcc-packet/small/December-9-2025-Regular-Session-Minutes-0007.jpg)
![[ADJOURNMENT]](http://www.l-a-k-e.org/govt/loco/2026-01-12--lcc-packet/small/December-9-2025-Regular-Session-Minutes-0009.jpg)
Pingback: Videos: 3 presentations, Appointment Board of Health, correct Tax Assessor, Qualifying Fees, grants, road widening and paving, Lakes Blvd Water Meter Relocation @ LCC Work 2026-01-02 | On the LAKE front