Update 2026-01-26: Videos: Water treatment upgrade because GA-EPD Consent Order, Lift Station Pump Repair, Condemnation along Twin Lakes Road, VAWA, Extension Office, Red Cross @ LCC Work 2026-01-26.
No rezonings this week, but plenty of purchases, resolutions, and a grant, on the agenda for the Lowndes County Commission.
Their Work Session is Monday morning, and they vote Tuesday evening in their Regular Session.
The county is under a GA-EPD Consent Order about drinking water. This is revealed by the agenda packet page for 5.a. Spring Creek Water Treatment Plant Design Build Project. Neither the board packet materials nor the ad for bids mentions where this is. However, previous research indicates it’s the well with water tower at 4245 Hattie Pl, Valdosta, GA 31605, near a creek that runs west by Pine Grove Middle School to the Withlacoochee River.
They will vote on spending $214,412.00 on the Spring Creek plant and $24,400.00 on a sewage pump repair at the Peterson Road Lift Station.
The packet materials don’t say where the Peterson Road Lift Station is, either, but it appears to be in the southeast corner of 6201 Peterson Road, east of the I-75 Georgia Visitor Center. The sign on the fence says Roadway Lift Station.
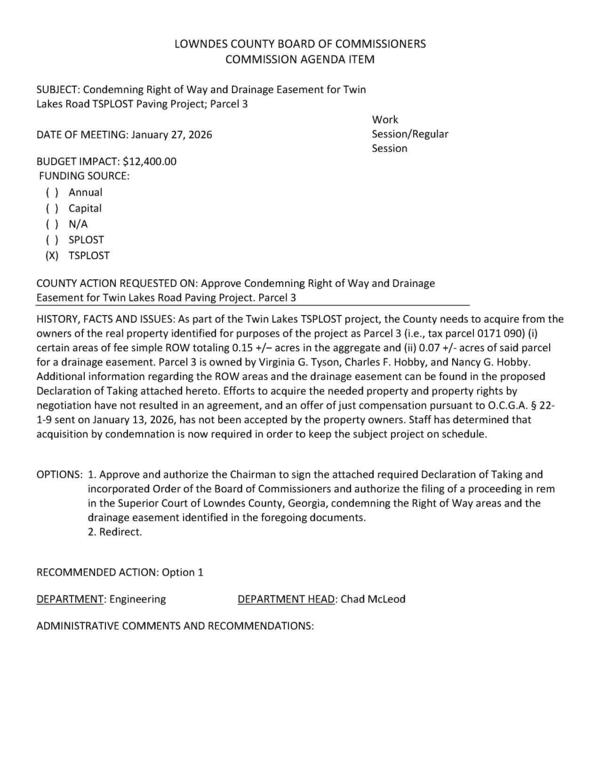
And the county thinks $12,400.00 is a fair condemnation price to get some road and drainage right of way along Twin Lakes Road.
That’s about a quarter million dollars they may approve Tuesday, before even adding in the $26,371.00 cash match for a VAWA grant.
Packet: Water treatment upgrade because GA-EPD Consent Order, Lift Station Pump Repair, VAWA, Twin Lakes Road Condemnation @ LCC 2026-01-26
| Cost | What |
|---|---|
| $214,412.00 | Spring Creek Water Treatment Plant Design Build Project |
| $26,371.00 | Approval of the Solicitor General's FY26 VAWA Continuation Grant Application |
| $24,400.00 | Peterson Road Lift Station Pump Repair |
| $12,400.00 | Condemning Right of Way and Drainage Easement for Twin Lakes Road TSPLOST Paving Project; Parcel 3 |
| $277,583.00 | Total |
Here is the agenda.
The board packet, received in response to a LAKE open records request, is on the LAKE website.
You may wonder, as I do, why doesn’t the county put its board packets on its own website?
Maybe you’d like to ask your County Commissioners that question.
LOWNDES COUNTY BOARD OF COMMISSIONERS
PROPOSED AGENDA
WORK SESSION, MONDAY, JANUARY 26, 2026, 8:30 a.m.
REGULAR SESSION, TUESDAY, JANUARY 27, 2026, 5:30 p.m.
327 N. Ashley Street – 2nd Floor
- Call to Order
- Invocation
- Pledge of Allegiance to the Flag
- Minutes for Approval
- For Consideration
- Spring Creek Water Treatment Plant Design Build Project
Documents:Spring Creek Water Treatment Plant Design Build Project.pdf
- Peterson Road Lift Station Pump Repair
- Resolution to Sell Surplus Water Meter Components
Documents:Resolution to Sell Surplus Water Meter Components.pdf
- Condemning Right of Way and Drainage Easement for Twin Lakes Road TSPLOST Paving Project; Parcel 3
- Special Assessment Rate for 2026
Documents:Special Assessment Rate for 2026.pdf
- Approval of the Solicitor General's FY26 VAWA Continuation Grant Application
Documents:Approval of the Solicitor General FY26 VAWA Continuation Grant Application.pdf
- Reports – County Manager
- Citizens Wishing to be Heard-Please State Your Name and Address
- Adjournment
LCC Agenda 2026-01-26
For Consideration and Reports
PDF
Another Report and Adjournment
PDF
Images of the rest of the packet pages are appended.
-jsq
Investigative reporting costs money, for open records requests, copying, web hosting, gasoline, and cameras, and with sufficient funds we can pay students to do further research. You can donate to LAKE today!
http://www.l-a-k-e.org/blog/donate
Spring Creek Water Treatment Plant Design Build Project
BUDGET IMPACT: $214,412.00 FUNDING SOURCE: (xX) SPLOST due to GA-EPD Consent Order, one bid, Reynolds Construction
PDF
AGREEMENT BETWEEN OWNER AND DESIGN-BUILDER FOR PROGRESSIVE DESIGN-BUILD
PDF
THIS AGREEMENT is by and between __ Lowndes County, Georgia and Reynolds Construction of Georgia, LLC
PDF
PRELIMINARY STAGE SCHEDULE
PDF
ExA
EXHIBIT A — PRELIMINARY STAGE WORK
PDF
19. Revise the Report (and any other deliverables) in response to Owner’s comments, as
PDF
7. Revise the Preliminary Technical Documents in response to Owner’s comments, as
PDF
Conceptual Yard Piping Plan
PDF
SCAd
Spring Creek WTP Design Build Ad, 2025-08-01 –Lowndes County Public Works
PDF
SCWT
Spring Creek Water Tower, 2026-01-24 –Google Street View
Peterson Road Lift Station Pump Repair
BUDGET IMPACT: $24,400.00 FUNDING SOURCE: (XxX) Annual, Xylem repair
PDF
Preventative Maintenance Agreement
PDF
Xylem quote for a new Flygt pump
PDF
PRLS
Roadway Lift Station, Peterson Road, 2026-01-24 –Google Street View
PRWT
Peterson Road Water Tower, 2026-01-26 –Google Street View
Resolution to Sell Surplus Water Meter Components
Page 44 replacing water meters that have reached the end of their useful life.
PDF
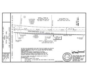
Condemning Right of Way and Drainage Easement for Twin Lakes Road TSPLOST Paving Project; Parcel 3
BUDGET IMPACT: $12,400.00 FUNDING SOURCE: (xX) TSPLOST
PDF
IN THE SUPERIOR COURT OF LOWNDES COUNTY STATE OF GEORGIA
PDF
under Article 1 of Chapter 3 of Title 32 of the Official Code of Georgia Annotated; and
PDF
NOW, THEREFORE, the premises considered, the Board of Commissioners of Lowndes
PDF
NOW, THEREFORE, IT IS HEREBY ORDERED by the governing authority of
PDF
Chapter 3 of Title 32 of the Official Code of Georgia Annotated and that it is necessary to
PDF
ANNEX 1 TO ORDER OF BOARD OF COMMISSIONERS: RIGHT OF Way AREAS
PDF
Survey: VIRGINIA G. TYSON AND NANCY G. HOBBY (1 of 4)
PDF
Survey: VIRGINIA G. TYSON AND NANCY G. HOBBY (2 of 4)
PDF
Survey: VIRGINIA G. TYSON AND NANCY G. HOBBY (3 of 4)
PDF
Survey: VIRGINIA G. TYSON AND NANCY G. HOBBY (4 of 4)
PDF
Special Assessment Rate for 2026
The current prime rate is 6.75%; therefore, the rate for special assessments should be set at 8.75%.
PDF
Approval of the Solicitor General’s FY26 VAWA
BUDGET IMPACT: $26,371.00 Cash Match (X) Annual
PDF
January-12-2026-Regular-Session-Minutes
Acceptance of Infrastructure for Knights Landing Phase IV Section |
PDF
10% match in local funding, which is allocated in SPLOST VIII. The grant money is being proposed to be used
PDF
Dr. Amanda Hall, 2102 North Sherwood Drive, addressed the commission regarding pet overpopulation. Dr.
PDF
January-12-2026-Work-Session-Minutes
Chairman Slaughter and Mayor Matheson read and presented the Lowndes County School
PDF
Acceptance of Infrastructure for Knights Landing Phase IV Section |
PDF
minimum 10% match in local funding, which is allocated in SPLOST VIII. The grant money is being
PDF
Short Link:
![[Page 5]](http://www.l-a-k-e.org/govt/loco/2026-01-26--lcc-packet/small/January-26-27-2026-Meeting-Packet-0005.jpg)
![[Page 8]](http://www.l-a-k-e.org/govt/loco/2026-01-26--lcc-packet/small/January-26-27-2026-Meeting-Packet-0008.jpg)
![[Table: Preliminary Stage Compensation Amounts]](http://www.l-a-k-e.org/govt/loco/2026-01-26--lcc-packet/small/January-26-27-2026-Meeting-Packet-0009.jpg)
![[Page 10]](http://www.l-a-k-e.org/govt/loco/2026-01-26--lcc-packet/small/January-26-27-2026-Meeting-Packet-0010.jpg)
![[Page 11]](http://www.l-a-k-e.org/govt/loco/2026-01-26--lcc-packet/small/January-26-27-2026-Meeting-Packet-0011.jpg)
![[Page 12]](http://www.l-a-k-e.org/govt/loco/2026-01-26--lcc-packet/small/January-26-27-2026-Meeting-Packet-0012.jpg)
![[Page 13]](http://www.l-a-k-e.org/govt/loco/2026-01-26--lcc-packet/small/January-26-27-2026-Meeting-Packet-0013.jpg)
![[Page 14]](http://www.l-a-k-e.org/govt/loco/2026-01-26--lcc-packet/small/January-26-27-2026-Meeting-Packet-0014.jpg)
![[Page 15]](http://www.l-a-k-e.org/govt/loco/2026-01-26--lcc-packet/small/January-26-27-2026-Meeting-Packet-0015.jpg)
![[IN WITNESS WHEREOF]](http://www.l-a-k-e.org/govt/loco/2026-01-26--lcc-packet/small/January-26-27-2026-Meeting-Packet-0016.jpg)
![[Page 20]](http://www.l-a-k-e.org/govt/loco/2026-01-26--lcc-packet/small/January-26-27-2026-Meeting-Packet-0020.jpg)
![[Page 21]](http://www.l-a-k-e.org/govt/loco/2026-01-26--lcc-packet/small/January-26-27-2026-Meeting-Packet-0021.jpg)
![[Page 22]](http://www.l-a-k-e.org/govt/loco/2026-01-26--lcc-packet/small/January-26-27-2026-Meeting-Packet-0022.jpg)
![[ITEM D: MISCELLANEOUS SERVICES ALLOWANCE]](http://www.l-a-k-e.org/govt/loco/2026-01-26--lcc-packet/small/January-26-27-2026-Meeting-Packet-0024.jpg)
![[Page 25]](http://www.l-a-k-e.org/govt/loco/2026-01-26--lcc-packet/small/January-26-27-2026-Meeting-Packet-0025.jpg)
![[Page 26]](http://www.l-a-k-e.org/govt/loco/2026-01-26--lcc-packet/small/January-26-27-2026-Meeting-Packet-0026.jpg)
![[Page 27]](http://www.l-a-k-e.org/govt/loco/2026-01-26--lcc-packet/small/January-26-27-2026-Meeting-Packet-0027.jpg)
![[Page 28]](http://www.l-a-k-e.org/govt/loco/2026-01-26--lcc-packet/small/January-26-27-2026-Meeting-Packet-0028.jpg)
![[EXHIBIT C: HOURLY BILLING RATES]](http://www.l-a-k-e.org/govt/loco/2026-01-26--lcc-packet/small/January-26-27-2026-Meeting-Packet-0029.jpg)
![[Xylem invoice]](http://www.l-a-k-e.org/govt/loco/2026-01-26--lcc-packet/small/January-26-27-2026-Meeting-Packet-0031.jpg)
![[Page 32]](http://www.l-a-k-e.org/govt/loco/2026-01-26--lcc-packet/small/January-26-27-2026-Meeting-Packet-0032.jpg)
![[Page 33]](http://www.l-a-k-e.org/govt/loco/2026-01-26--lcc-packet/small/January-26-27-2026-Meeting-Packet-0033.jpg)
![[Page 34]](http://www.l-a-k-e.org/govt/loco/2026-01-26--lcc-packet/small/January-26-27-2026-Meeting-Packet-0034.jpg)
![[Page 37]](http://www.l-a-k-e.org/govt/loco/2026-01-26--lcc-packet/small/January-26-27-2026-Meeting-Packet-0037.jpg)
![[Page 38]](http://www.l-a-k-e.org/govt/loco/2026-01-26--lcc-packet/small/January-26-27-2026-Meeting-Packet-0038.jpg)
![[Page 29]](http://www.l-a-k-e.org/govt/loco/2026-01-26--lcc-packet/small/January-26-27-2026-Meeting-Packet-0039.jpg)
![[Again: Preventative Maintenance Agreement]](http://www.l-a-k-e.org/govt/loco/2026-01-26--lcc-packet/small/January-26-27-2026-Meeting-Packet-0040.jpg)
![[Page 41]](http://www.l-a-k-e.org/govt/loco/2026-01-26--lcc-packet/small/January-26-27-2026-Meeting-Packet-0041.jpg)
![[Page 42]](http://www.l-a-k-e.org/govt/loco/2026-01-26--lcc-packet/small/January-26-27-2026-Meeting-Packet-0042.jpg)
![[Page 43]](http://www.l-a-k-e.org/govt/loco/2026-01-26--lcc-packet/small/January-26-27-2026-Meeting-Packet-0043.jpg)
![[A RESOLUTION]](http://www.l-a-k-e.org/govt/loco/2026-01-26--lcc-packet/small/January-26-27-2026-Meeting-Packet-0045.jpg)
![[Page 53]](http://www.l-a-k-e.org/govt/loco/2026-01-26--lcc-packet/small/January-26-27-2026-Meeting-Packet-0053.jpg)
![[Page 54]](http://www.l-a-k-e.org/govt/loco/2026-01-26--lcc-packet/small/January-26-27-2026-Meeting-Packet-0054.jpg)
![[Page 55]](http://www.l-a-k-e.org/govt/loco/2026-01-26--lcc-packet/small/January-26-27-2026-Meeting-Packet-0055.jpg)
![[Page 56]](http://www.l-a-k-e.org/govt/loco/2026-01-26--lcc-packet/small/January-26-27-2026-Meeting-Packet-0056.jpg)
![[Page 61]](http://www.l-a-k-e.org/govt/loco/2026-01-26--lcc-packet/small/January-26-27-2026-Meeting-Packet-0061.jpg)
![[Survey: Twin Lakes Road Alignment]](http://www.l-a-k-e.org/govt/loco/2026-01-26--lcc-packet/small/January-26-27-2026-Meeting-Packet-0062.jpg)
![[Page 63]](http://www.l-a-k-e.org/govt/loco/2026-01-26--lcc-packet/small/January-26-27-2026-Meeting-Packet-0063.jpg)
![[SWORN APPRAISER’S STATEMENT]](http://www.l-a-k-e.org/govt/loco/2026-01-26--lcc-packet/small/January-26-27-2026-Meeting-Packet-0064.jpg)
![[Page 1]](http://www.l-a-k-e.org/govt/loco/2026-01-26--lcc-packet/January-12-2026-Regular-Session-Minutes-0001.jpg)
![[Page 2]](http://www.l-a-k-e.org/govt/loco/2026-01-26--lcc-packet/small/January-12-2026-Regular-Session-Minutes-0002.jpg)
![[ADJOURNMENT]](http://www.l-a-k-e.org/govt/loco/2026-01-26--lcc-packet/small/January-12-2026-Regular-Session-Minutes-0006.jpg)
![[ADJOURNMENT]](http://www.l-a-k-e.org/govt/loco/2026-01-26--lcc-packet/small/January-12-2026-Work-Session-Minutes-0004.jpg)
Pingback: Videos: Water treatment upgrade because GA-EPD Consent Order, Lift Station Pump Repair, Condemnation along Twin Lakes Road, VAWA, Extension Office, Red Cross @ LCC Work 2026-01-26 | On the LAKE front
Pingback: Videos: Water treatment upgrade because GA-EPD Consent Order, Lift Station Pump Repair, Condemnation along Twin Lakes Road, VAWA, Extension Office, Red Cross @ LCC Regular 2026-01-27 | On the LAKE front