Lowndes Area Knowledge Exchange (LAKE)

[prev][index][next] [index to photographs]

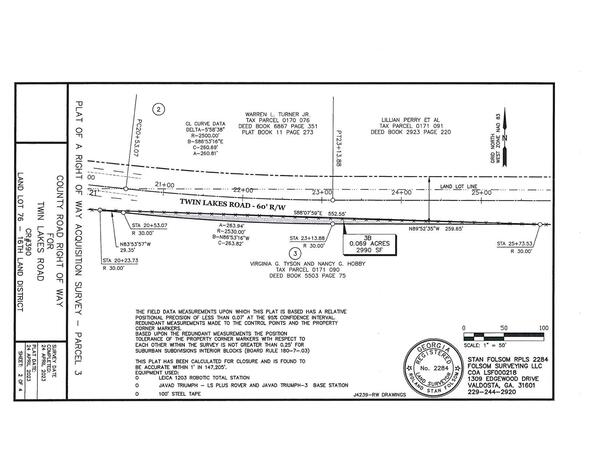
Survey: VIRGINIA G. TYSON AND NANCY G. HOBBY (2 of 4)

Condemning Right of Way and Drainage Easement for Twin Lakes Road TSPLOST Paving Project; Parcel 3
Packet: Water treatment upgrade because GA-EPD Consent Order, Lift Station Pump Repair, Condemnation along Twin Lakes Road, VAWA, Extension Office, Red Cross @ LCC
26 January 2026

 
Survey: VIRGINIA G. TYSON AND NANCY G. HOBBY (2 of 4)
bigger PDF