Update 2026-02-21: Videos: 3 rezonings, 1 Utility Easement Termination, Orr Road Bids, Backup Generators for Pruitt Health Facilities @ LCC Work 2026-02-09.
The big-budget item is $477,896.15 to Reames & Son Construction from TSPLOST for 7.a. PI #0016273, Transportation Investment Act (TIA) Orr Road Bids.
The $1,470,216.00 for 7.b. Emergency Backup Generators at Pruitt Health Facilities is to be completely reimbursed by $1,088,903.00 from HMGP Funding, $217,781.00 from GEMA Funding, and $233,126.00 from Pruitt Health.
In July 2019, the Lowndes County Board of Commissioners approved the submittal of a Hazard Mitigation Grant Program (HMGP) application on behalf of Pruitt Health Corporation to fund the installation of emergency backup generators at five skilled nursing facilities located within Lowndes County. These facilities provide critical care to vulnerable populations, making continuity of power during emergencies a key resiliency priority.
In January 2025, Lowndes County was notified that the HMGP application had been awarded. As part of the grant structure, Lowndes County will administer the project and pay the selected contractor, with eligible costs reimbursed through a combination of Federal Emergency Management Agency (FEMA) and Georgia Emergency Management Agency (GEMA) funding. Any costs not reimbursed through FEMA or GEMA will be the responsibility of Pruitt Health. As a result, Lowndes County will receive 100 percent reimbursement for the project through the combined participation of FEMA, GEMA, and Pruitt Health, with no net financial impact to the County.
Packet: 3 rezonings, Utility Easement Termination, Orr Road Bids, Pruitt Health Backup Generators, @ LCC 2026-02-09
Here is the agenda.
The board packet, received in response to a LAKE open records request, is on the LAKE website.
See also the LAKE videos of the preceding Planning Commission meeting.
LOWNDES COUNTY BOARD OF COMMISSIONERS
PROPOSED AGENDA
WORK SESSION, MONDAY, FEBRUARY 9, 2026, 8:30 a.m.
REGULAR SESSION, TUESDAY, FEBRUARY 10, 2026, 5:30 p.m.
327 N. Ashley Street – 2nd Floor
- Call to Order
- Invocation
- Pledge of Allegiance to the Flag
- Minutes for Approval
- Public Hearing
- REZ-2026-01 Williams Howard Property, 5905 Staten Rd., ~6ac, E-A to R-A, Well & Septic
Documents:REZ-2026-01 Williams Howard Property.pdf
- REZ-2026-02 Bullard Property, 7270 Old Valdosta Rd., 1ac, E-A to R-1, Well & Septic
Documents:REZ-2026-02 Bullard Property.pdf
- REZ-2026-03 Villanueva Property, 6201 Union Rd, 6ac, E-A to C-G, Well & Septic
Documents:REZ-2026-03 Villanueva Property.pdf
- For Consideration
- Bid
- Reports – County Manager
- Citizens Wishing to be Heard-Please State Your Name and Address
- Adjournment
Agenda-2026-02-10
Rezonings, Unused Utility Easement, TIA Orr Road Bids, Backup Generators at Pruitt Health Facilities
PDF
Images of the rest of the packet are below.
-jsq
Investigative reporting costs money, for open records requests, copying, web hosting, gasoline, and cameras, and with sufficient funds we can pay students to do further research. You can donate to LAKE today!
http://www.l-a-k-e.org/blog/donate
REZ-2026-01 Williams Howard Property, 5905 Staten Rd., ~6ac, E-A to R-A, Well & Septic
for the property to be subdivided through Family Ties standards.
PDF
REZ-2026-02 Bullard Property, 7270 Old Valdosta Rd., 1ac, E-A to R-1, Well & Septic
to bring the lot and its allowable uses into conformity.
PDF
REZ-2026-03 Villanueva Property, 6201 Union Rd, 6ac, E-A to C-G, Well & Septic
to allow for a proposed office and storage facility on the subject property for Universal Roofing.
PDF
Conceptual Site Plan for: Angelica Villanueva
PDF
Loch Laurel Road Termination of Unused Utility Easement
There was formerly a booster station at the site, but it was removed in 2019.
PDF
RELEASE, CONVEYANCE, AND TERMINATION OF EASEMENT
PDF
NOW, THEREFORE, for and in consideration of the agreements set forth herein, and
PDF
Signed, sealed,* and delivered
PDF
A Resolution… Approving Release, Conveyance, and Termination of Easement and Easement Agreement
PDF
NOW, THEREFORE, IT IS HEREBY RESOLVED by the Board of Commissioners of
PDF
PI #0016273, Transportation Investment Act (TIA) Orr Road
BUDGET IMPACT: $477,896.15, FUNDING SOURCE: TSPLOST
PDF
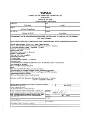
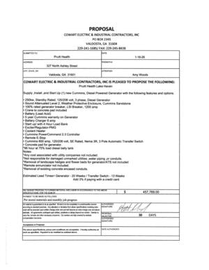
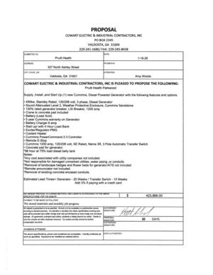
Consideration of Bids for Installation of Emergency Backup Generators at Pruitt Health Facilities
provide critical care to vulnerable populations, making continuity of power during emergencies a key BUDGET IMPACT: $1,470,216.00 — to be reimbursed 100%, resulting in no net fiscal impact FUNDING SOURCE: (xX) HMGP Funding – $1,088,903.00 (X) GEMA Funding – $217,781.00 (X) Pruitt Health – $233,126.00
PDF
Three responsive proposals
PDF
Cowart Electric Inc. Pricing Proposal
PDF
Cowart Electric References
PDF
January-26-2026-Work-Session-Minutes
LLC. We believe the size and specialization of the project limited the number of proposals we
PDF
January-27-2026-Regular-Session-Minutes
LLC. We believe the size and specialization of the project limited the number of proposals we
PDF
Short Link:
![[CWTBH, Adjournment]](http://www.l-a-k-e.org/govt/loco/2026-02-09--lcc-packet/small/February-10-2026-Meeting-Packet-0002.jpg)
![[Page 4]](http://www.l-a-k-e.org/govt/loco/2026-02-09--lcc-packet/small/February-10-2026-Meeting-Packet-0004.jpg)
![[Rezoning request from Brittanee Howard]](http://www.l-a-k-e.org/govt/loco/2026-02-09--lcc-packet/small/February-10-2026-Meeting-Packet-0005.jpg)
![[SURVEY for: Bryttanee Howard]](http://www.l-a-k-e.org/govt/loco/2026-02-09--lcc-packet/small/February-10-2026-Meeting-Packet-0006.jpg)
![[Zoning Location Map]](http://www.l-a-k-e.org/govt/loco/2026-02-09--lcc-packet/small/February-10-2026-Meeting-Packet-0007.jpg)
![[Future Development Map]](http://www.l-a-k-e.org/govt/loco/2026-02-09--lcc-packet/small/February-10-2026-Meeting-Packet-0008.jpg)
![[WRPDO Site Map]](http://www.l-a-k-e.org/govt/loco/2026-02-09--lcc-packet/small/February-10-2026-Meeting-Packet-0009.jpg)
![[Page 11]](http://www.l-a-k-e.org/govt/loco/2026-02-09--lcc-packet/small/February-10-2026-Meeting-Packet-0011.jpg)
![[Rezoning request from Christie Bullard]](http://www.l-a-k-e.org/govt/loco/2026-02-09--lcc-packet/small/February-10-2026-Meeting-Packet-0012.jpg)
![[Zoning Location Map]](http://www.l-a-k-e.org/govt/loco/2026-02-09--lcc-packet/small/February-10-2026-Meeting-Packet-0013.jpg)
![[Future Development Map]](http://www.l-a-k-e.org/govt/loco/2026-02-09--lcc-packet/small/February-10-2026-Meeting-Packet-0014.jpg)
![[WRPDO Site Map]](http://www.l-a-k-e.org/govt/loco/2026-02-09--lcc-packet/small/February-10-2026-Meeting-Packet-0015.jpg)
![[Two conditions]](http://www.l-a-k-e.org/govt/loco/2026-02-09--lcc-packet/small/February-10-2026-Meeting-Packet-0017.jpg)
![[COMMERCIAL, OFFICE, AND INSTITUTIONAL ZONING DISTRICTS]](http://www.l-a-k-e.org/govt/loco/2026-02-09--lcc-packet/small/February-10-2026-Meeting-Packet-0019.jpg)
![[Page 20]](http://www.l-a-k-e.org/govt/loco/2026-02-09--lcc-packet/small/February-10-2026-Meeting-Packet-0020.jpg)
![[Page 21]](http://www.l-a-k-e.org/govt/loco/2026-02-09--lcc-packet/small/February-10-2026-Meeting-Packet-0021.jpg)
![[Page 22]](http://www.l-a-k-e.org/govt/loco/2026-02-09--lcc-packet/small/February-10-2026-Meeting-Packet-0022.jpg)
![[Page 23]](http://www.l-a-k-e.org/govt/loco/2026-02-09--lcc-packet/small/February-10-2026-Meeting-Packet-0023.jpg)
![[Page 24]](http://www.l-a-k-e.org/govt/loco/2026-02-09--lcc-packet/small/February-10-2026-Meeting-Packet-0024.jpg)
![[Page 25]](http://www.l-a-k-e.org/govt/loco/2026-02-09--lcc-packet/small/February-10-2026-Meeting-Packet-0025.jpg)
![[Zoning Location Map]](http://www.l-a-k-e.org/govt/loco/2026-02-09--lcc-packet/small/February-10-2026-Meeting-Packet-0026.jpg)
![[Future Development Map]](http://www.l-a-k-e.org/govt/loco/2026-02-09--lcc-packet/small/February-10-2026-Meeting-Packet-0027.jpg)
![[WRPDO Site Map]](http://www.l-a-k-e.org/govt/loco/2026-02-09--lcc-packet/small/February-10-2026-Meeting-Packet-0028.jpg)
![[IN WITNESS WHEREOF]](http://www.l-a-k-e.org/govt/loco/2026-02-09--lcc-packet/small/February-10-2026-Meeting-Packet-0032.jpg)
![[Two bids]](http://www.l-a-k-e.org/govt/loco/2026-02-09--lcc-packet/small/February-10-2026-Meeting-Packet-0037.jpg)
![[Page 41]](http://www.l-a-k-e.org/govt/loco/2026-02-09--lcc-packet/small/February-10-2026-Meeting-Packet-0041.jpg)
![[Page 42]](http://www.l-a-k-e.org/govt/loco/2026-02-09--lcc-packet/small/February-10-2026-Meeting-Packet-0042.jpg)
![[Page 43]](http://www.l-a-k-e.org/govt/loco/2026-02-09--lcc-packet/small/February-10-2026-Meeting-Packet-0043.jpg)
![[Page 44]](http://www.l-a-k-e.org/govt/loco/2026-02-09--lcc-packet/small/February-10-2026-Meeting-Packet-0044.jpg)
![[Page 45]](http://www.l-a-k-e.org/govt/loco/2026-02-09--lcc-packet/small/February-10-2026-Meeting-Packet-0045.jpg)
![[Page 46]](http://www.l-a-k-e.org/govt/loco/2026-02-09--lcc-packet/small/February-10-2026-Meeting-Packet-0046.jpg)
![[Current Edge Solutions Bid]](http://www.l-a-k-e.org/govt/loco/2026-02-09--lcc-packet/small/February-10-2026-Meeting-Packet-0048.jpg)
![[Page 49]](http://www.l-a-k-e.org/govt/loco/2026-02-09--lcc-packet/small/February-10-2026-Meeting-Packet-0049.jpg)
![[Current Edge Generator Installation Experience]](http://www.l-a-k-e.org/govt/loco/2026-02-09--lcc-packet/small/February-10-2026-Meeting-Packet-0050.jpg)
![[Page 2]](http://www.l-a-k-e.org/govt/loco/2026-02-09--lcc-packet/small/January-26-2026-Work-Session-Minutes-0002.jpg)
![[ADJOURNMENT]](http://www.l-a-k-e.org/govt/loco/2026-02-09--lcc-packet/small/January-26-2026-Work-Session-Minutes-0003.jpg)
![[Page 2]](http://www.l-a-k-e.org/govt/loco/2026-02-09--lcc-packet/small/January-27-2026-Regular-Session-Minutes-0002.jpg)
![[ADJOURNMENT]](http://www.l-a-k-e.org/govt/loco/2026-02-09--lcc-packet/small/January-27-2026-Regular-Session-Minutes-0003.jpg)
Pingback: Videos: Valdosta downtown multi-family residential development and office and storage in Lowndes County @ GLPC 2026-01-26 | On the LAKE front