Update 2025-11-13: Videos: 1 County, 4 Valdosta, 1 Hahira @ GLPC 2025-10-27.
Update 2025-11-10: Packet: Appointments to Planning Commission & Library Board, Copeland Road rezoning, Holiday and meeting schedule, Jumping Gully Road Bridge over Bevel Creek @ LCC 2025-11-12.
You’ve seen the agenda and the LAKE videos of the Work Session. Here is the board packet for Regular Session of the Greater Lowndes Planning Commission (GLPC).
The one Lowndes County case has a backstory going back ten years of failed and at least one successful rezoning.
At least two of the Valdosta City cases also have extensive backstory.
The Hahira case is to replace a billboard that was blown over by Hurricane Helene.
Packet: Collage @ GLPC 2025-10-27
The board packet, received in response to a LAKE open records request, is on the LAKE website.
Images of each page are below.
-jsq
Investigative reporting costs money, for open records requests, copying, web hosting, gasoline, and cameras, and with sufficient funds we can pay students to do further research. You can donate to LAKE today!
http://www.l-a-k-e.org/blog/donate
3. REZ-2025-16
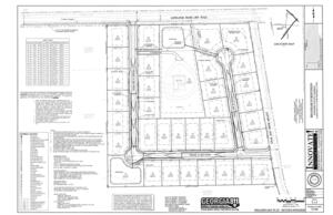
Seeks removal of several conditions from REZ-2018-07. REZ-2025-16 Copeland Road Subdivision ~18ac, 2480 Copeland Road, R-10w/Conditions to R-10, County Utilities
PDF
TRC recommends R-10 and 5 conditions.
PDF
Request: This rezoning will enable the property owner to develop and build a 41-lot single-family residential subdivision consistent with the by-right uses permitted under the R-10 zoning classification.
PDF
Map: Branham Subdivision, 2022-08-02
PDF
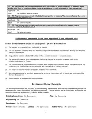
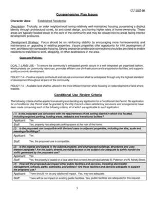
4. CU-2025-08
Tracy Rose and Camala Wiles, Bed and Breakfast Inn, 200 E College Street
PDF
Planning Analysis & Property Information
PDF
Development Review Comments
PDF
Map: Sketch of intended use
PDF
The Van Dyke Family, Adjacent Owner-Occupied Property: FULL SUPPORT Conditional Use Permit
PDF
We are one of the two owner occupied adjacent property and we….
PDF
5. VA-2025-12
Smyrna Ready Mix Concrete LLC, rezone 75.44 acres from R-6 and E-R to M-2.
PDF
Planning Analysis & Property Information
PDF
Standards for the Exercise of Zoning Power
PDF
Development Review Comments
PDF
LETTER of AUTHORIZATION from Tallulah H. Gregory, J.N. Bray Co. Pres.
PDF
Map: SURVEY of Rezoning Areas
PDF
Map: Property Plan with Sat Map and wetlands
PDF
SRM Concrete Company Summary
PDF
From left to right: Ryan Hollingshead, Mike Hollingshead, Jeff Hollingshead
PDF
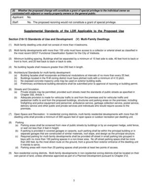
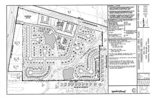
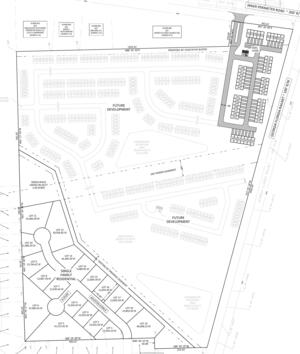
6. VA-2025-14
John Owens, 49.92 acres from PRD and C-H to R-M and R-10, Perimeter and Jaycee Shack Roads. The property is currently undeveloped, and the applicant is proposing to develop the site as a conventional townhouse-style apartment complex in the R-M portion (up to about 300 dwellings), as well as a single-family residential subdivision (19 lots) in the R-10 portion.
PDF
Planning Analysis & Property Information
PDF
Standards for the Exercise of Zoning Power (Review Criteria)
PDF
Supplemental Standards of the LDR Applicable to the Proposed Use
PDF
Development Review Comments
PDF
Betty Jean Daugharty LETTER of AUTHORIZATION
PDF
Land Use Certificate, City of Valdosta, annexation and zoning, VA-2004-40, 2004-11-11
PDF
Map: Conceptual Land Use Plan, Permeter Pointe
PDF
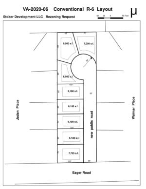
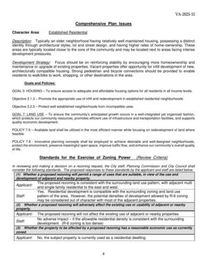
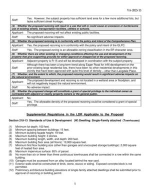
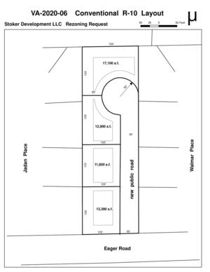
7. VA-2025-15
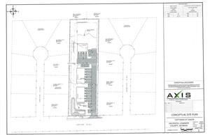
Stoker Development LLC, 310 Eager Road, Rezone 1.80 acres from R-15 to R-6. VA-2025-11 was withdrawn. to ultimately redevelop the property as a non-conventional townhouse complex with 16 dwelling units along a shared private driveway.
PDF
Staff Recommendation: Recommend $-10 inestead.
PDF
Planning Analysis & Property Information
PDF
Supplemental Regulations in the LDR Applicable to the Proposal
PDF
Development Review Comments
PDF
Livingston A. Rajalam LETTER of AUTHORIZATION
PDF
Map: Conventional R-15 Layout
PDF
Map: Conventional R-10 Layout
PDF
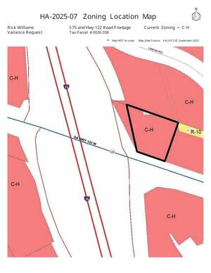
8. HA-2025-07
Rick Williams for Williams Investment Company, certain variances to replace a prior existing billboard sign that was severely damaged during Hurricane Helene.
PDF
2025-09-29-GLPC-Minutes-DRAFT
Short Link:
![[Map: Copeland Road Subdivision, 2025-07-23]](http://www.l-a-k-e.org/govt/glpc/2025-10-27--glpc-packet/small/REZ-2025-16-GLPC-Packet-0005.jpg)
![[Zoning Location Map]](http://www.l-a-k-e.org/govt/glpc/2025-10-27--glpc-packet/small/REZ-2025-16-GLPC-Packet-0006.jpg)
![[Future Development Map]](http://www.l-a-k-e.org/govt/glpc/2025-10-27--glpc-packet/small/REZ-2025-16-GLPC-Packet-0007.jpg)
![[WRPDO Site Map]](http://www.l-a-k-e.org/govt/glpc/2025-10-27--glpc-packet/small/REZ-2025-16-GLPC-Packet-0008.jpg)
![[Comprehensive Plan Issues]](http://www.l-a-k-e.org/govt/glpc/2025-10-27--glpc-packet/small/Agenda-Item-4-0003.jpg)
![[Attachments:]](http://www.l-a-k-e.org/govt/glpc/2025-10-27--glpc-packet/small/Agenda-Item-4-0005.jpg)
![[Zoning Location Map]](http://www.l-a-k-e.org/govt/glpc/2025-10-27--glpc-packet/small/Agenda-Item-4-0006.jpg)
![[Future Development Map]](http://www.l-a-k-e.org/govt/glpc/2025-10-27--glpc-packet/small/Agenda-Item-4-0007.jpg)
![[Aerial Location Map]](http://www.l-a-k-e.org/govt/glpc/2025-10-27--glpc-packet/small/Agenda-Item-4-0008.jpg)
![[Comprehensive Plan Issues]](http://www.l-a-k-e.org/govt/glpc/2025-10-27--glpc-packet/small/Agenda-Item-5-0003.jpg)
![[Zoning Location Map]](http://www.l-a-k-e.org/govt/glpc/2025-10-27--glpc-packet/small/Agenda-Item-5-0007.jpg)
![[Future Development Map]](http://www.l-a-k-e.org/govt/glpc/2025-10-27--glpc-packet/small/Agenda-Item-5-0008.jpg)
![[Aerial Location Map]](http://www.l-a-k-e.org/govt/glpc/2025-10-27--glpc-packet/small/Agenda-Item-5-0009.jpg)
![[Map: COMBINATION SURVEY]](http://www.l-a-k-e.org/govt/glpc/2025-10-27--glpc-packet/small/Agenda-Item-5-0010.jpg)
![[Comprehensive Plan Issues]](http://www.l-a-k-e.org/govt/glpc/2025-10-27--glpc-packet/small/Agenda-Item-6-0003.jpg)
![[Zoning Location Map]](http://www.l-a-k-e.org/govt/glpc/2025-10-27--glpc-packet/small/Agenda-Item-6-0008.jpg)
![[Future Development Map]](http://www.l-a-k-e.org/govt/glpc/2025-10-27--glpc-packet/small/Agenda-Item-6-0009.jpg)
![[Aerial Location Map]](http://www.l-a-k-e.org/govt/glpc/2025-10-27--glpc-packet/small/Agenda-Item-6-0010.jpg)
![[Map: Current Zoning]](http://www.l-a-k-e.org/govt/glpc/2025-10-27--glpc-packet/small/Agenda-Item-6-0013.jpg)
![[Map: Proposed Zoning]](http://www.l-a-k-e.org/govt/glpc/2025-10-27--glpc-packet/small/Agenda-Item-6-0014.jpg)
![[Map: 100-year Flood Zone]](http://www.l-a-k-e.org/govt/glpc/2025-10-27--glpc-packet/small/Agenda-Item-6-0015.jpg)
![[Map: Proposed R-10 and C-M and Future Development]](http://www.l-a-k-e.org/govt/glpc/2025-10-27--glpc-packet/small/Agenda-Item-6-0016.jpg)
![[4 Unit Front Elevation Layout Plan]](http://www.l-a-k-e.org/govt/glpc/2025-10-27--glpc-packet/small/Agenda-Item-6-0017.jpg)
![[Comprehensive Plan Issues]](http://www.l-a-k-e.org/govt/glpc/2025-10-27--glpc-packet/small/Agenda-Item-7-0004.jpg)
![[Zoning Location Map]](http://www.l-a-k-e.org/govt/glpc/2025-10-27--glpc-packet/small/Agenda-Item-7-0008.jpg)
![[Future Development Map]](http://www.l-a-k-e.org/govt/glpc/2025-10-27--glpc-packet/small/Agenda-Item-7-0009.jpg)
![[Aerial Location Map]](http://www.l-a-k-e.org/govt/glpc/2025-10-27--glpc-packet/small/Agenda-Item-7-0010.jpg)
![[Rezoning Map]](http://www.l-a-k-e.org/govt/glpc/2025-10-27--glpc-packet/small/Agenda-Item-7-0011.jpg)
![[Map: Conventional R-6 Layout]](http://www.l-a-k-e.org/govt/glpc/2025-10-27--glpc-packet/small/Agenda-Item-7-0014.jpg)
![[Map: Conceptual Site Plan]](http://www.l-a-k-e.org/govt/glpc/2025-10-27--glpc-packet/small/Agenda-Item-7-0015.jpg)
![[Variance Review Criteria]](http://www.l-a-k-e.org/govt/glpc/2025-10-27--glpc-packet/small/Agenda-Item-8-0002.jpg)
![[Development Review Comments]](http://www.l-a-k-e.org/govt/glpc/2025-10-27--glpc-packet/small/Agenda-Item-8-0003.jpg)
![[Zoning Location Map]](http://www.l-a-k-e.org/govt/glpc/2025-10-27--glpc-packet/small/Agenda-Item-8-0004.jpg)
![[Aerial Location Map]](http://www.l-a-k-e.org/govt/glpc/2025-10-27--glpc-packet/small/Agenda-Item-8-0005.jpg)
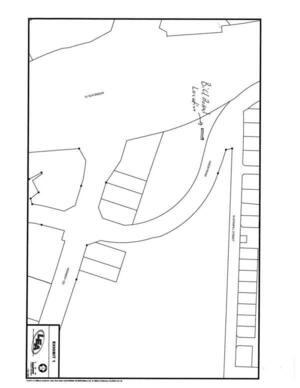
![[Billboard Location Map]](http://www.l-a-k-e.org/govt/glpc/2025-10-27--glpc-packet/small/Agenda-Item-8-0006.jpg)
![[Photograph: Billboard 2024-06-01]](http://www.l-a-k-e.org/govt/glpc/2025-10-27--glpc-packet/small/Agenda-Item-8-0007.jpg)
![[Billboard Plan]](http://www.l-a-k-e.org/govt/glpc/2025-10-27--glpc-packet/small/Agenda-Item-8-0008.jpg)
![[Front and Side Views]](http://www.l-a-k-e.org/govt/glpc/2025-10-27--glpc-packet/small/Agenda-Item-8-0009.jpg)
![[GDOT Permit with pictures of downed billboard]](http://www.l-a-k-e.org/govt/glpc/2025-10-27--glpc-packet/small/Agenda-Item-8-0010.jpg)
![[Page 1]](http://www.l-a-k-e.org/govt/glpc/2025-10-27--glpc-packet/2025-09-29-GLPC-Minutes-DRAFT-0001.jpg)
![[Page 2]](http://www.l-a-k-e.org/govt/glpc/2025-10-27--glpc-packet/small/2025-09-29-GLPC-Minutes-DRAFT-0002.jpg)
![[Page 3]](http://www.l-a-k-e.org/govt/glpc/2025-10-27--glpc-packet/small/2025-09-29-GLPC-Minutes-DRAFT-0003.jpg)
![[Page 4]](http://www.l-a-k-e.org/govt/glpc/2025-10-27--glpc-packet/small/2025-09-29-GLPC-Minutes-DRAFT-0004.jpg)
![[Page 5]](http://www.l-a-k-e.org/govt/glpc/2025-10-27--glpc-packet/small/2025-09-29-GLPC-Minutes-DRAFT-0005.jpg)
Pingback: Videos: 1 Lowndes County Case, 4 Valdosta Cases, 1 Hahira Case @ GLPC Work 2025-10-20 | On the LAKE front