Update 2026-01-24: Packet: Valdosta downtown multi-family residential development and office and storage in Lowndes County @ GLPC 2026-01-26.
Lowndes County has three small rezoning cases on this week’s agenda for the Greater Lowndes Planning Commission (GLPC).
This post has what Lowndes County sent before the GLPC Work Session, coming up 5:30 PM, Tuesday, January 20, 2026.
Obviously these materials are not yet complete, since the third one has nothing but one conceptual site plan. The agenda is also not yet ready.
And the county tells us that County Planner JD Dillard said, “The DRAFT minutes are still in draft status.”
Collage @ GLPC Packet 2026-01-20
The City Clerks of Remerton and Lake Park say they have no items for GLPC this month.
Valdosta, Hahira, and Dasher have not been heard from yet.
This may be the first time Lowndes County has responded first to a LAKE open records request for GLPC materials. Those materials are on the LAKE website.
Since I seem to have been hasty in sending this request before the Work Session, I guess I’ll send another request before the Regular Session, which the county says will be January 26.
As always, the appointed GLPC Commissioners make recommendations, and the county or city elected officials make the actual decisions later.
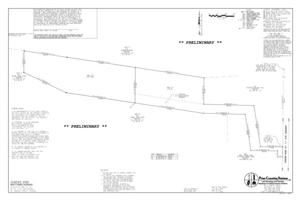
REZ-2026-01 Howard Property, ~5.8 ac 5905 Staten Road, E-A to R-A, Well & Septic
for the property to be subdivided through Family Ties standards.
PDF
SURVEY for Bryttanee Howard
PDF
REZ-2026-02 Bullard Property, ~1.0ac, 7270 Old Valdosta Rd., E-A to R-1, Well & Septic
to bring the lot and its allowable uses into conformity.
PDF
Zoning request from Christie Bullard
PDF
REZ-2026-03-Conceptual
Conceptual Site Plan for Angelica Villanueva
PDF
-jsq
Investigative reporting costs money, for open records requests, copying, web hosting, gasoline, and cameras, and with sufficient funds we can pay students to do further research. You can donate to LAKE today!
http://www.l-a-k-e.org/blog/donate
Short Link:
![[Zoning Location Map]](http://www.l-a-k-e.org/govt/glpc/2026-01-20--glpc-packet/REZ-2026-01-GLPC-Packet-0003.jpg)
![[Future Development Map]](http://www.l-a-k-e.org/govt/glpc/2026-01-20--glpc-packet/REZ-2026-01-GLPC-Packet-0004.jpg)
![[WRPDO Site Map]](http://www.l-a-k-e.org/govt/glpc/2026-01-20--glpc-packet/REZ-2026-01-GLPC-Packet-0005.jpg)
![[Zoning Location Map]](http://www.l-a-k-e.org/govt/glpc/2026-01-20--glpc-packet/REZ-2026-02-GLPC-Packet-0003.jpg)
![[Future Development Map]](http://www.l-a-k-e.org/govt/glpc/2026-01-20--glpc-packet/REZ-2026-02-GLPC-Packet-0004.jpg)
![[WRPDO Site Map]](http://www.l-a-k-e.org/govt/glpc/2026-01-20--glpc-packet/REZ-2026-02-GLPC-Packet-0005.jpg)
Pingback: Packet: Valdosta downtown multi-family residential development and office and storage in Lowndes County @ 2026-01-26 | On the LAKE front
Pingback: Two wells, a lift station, water meters, and drainage eminent domain @ LCC 2026-01-26 | WWALS Watershed Coalition (WWALS) is Suwannee RIVERKEEPER®