So people can catch up on what is happening with datacenters, here is Lowndes County’s astonishingly informative post on the process going forward, illustrated and annotated with what has already happened.
This post does not mean that I or LAKE or any organization with which I am associated are in favor of or opposed to everything of anything in the county’s post. There are and will be plenty of other posts for such opinions.
Data Center Prospects in Lowndes County, by Lowndes County, GA, 2026-03-09
Data Center Prospects in Lowndes County
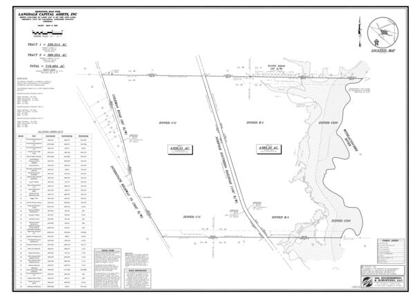
Lowndes County, Georgia — On July 8, 2025, the Lowndes County Board of Commissioners approved the rezoning of REZ-2025-11, Coleman Road~719 acres from its current C-C (Crossroads Commercial) and CON (Conservation District) zoning classification to M-1 (Light Manufacturing) and CON (Conservation District) zoning classification with the following seven (7) conditions:
http://www.l-a-k-e.org/blog/?p=25109
![]()
5.b. REZ-2025-11 Langdale Capital Assets, Coleman Road, ~719 ac, C-C, R-1,LAKE video: https://youtu.be/OKdjvi4wTV4
- There shall be no access to Briarberry Drive and Quail Hollow Circle from the subject property.
- Should a change in use occur where additional transportation and/or water/sewer infrastructure upgrades are required, the Developer will be responsible for the design, any acquisition of necessary right-of-way, relocation of utilities, and construction costs for the infrastructure improvements.
- All lots shall front interior roads.
- A 200′ undisturbed buffer shall be required along the Northern, and Southern property lines abutting current Residential Zoning District boundaries.
- Any lighting located on the property shall be shielded and directed to avoid direct illumination of adjacent properties zoned Residentially.
- Any loudspeakers, paging systems, or electromagnetic interference generated on or by uses of the property shall be designed, installed and used such that they are not discernable at any abutting property line zoned Residentially.
- Correctional Facilities, Transitional Care Facilities, and Kennels with Outdoor Runs shall not be allowed.
![]()
to be developed into a large warehouse type campus.
![]()
GLPC recommended approval 4:3 with the seven staff-recommended conditions.In accordance with Lowndes County’s Unified Land Development Code, a data center may be built on parcels that are zoned in accordance with seven of the code’s zoning districts to include manufacturing.
Please know this is not an automatic approval for a data center to move forward. A project the size of a data center, similar to other industrial projects would trigger a Development of Regional Impact (DRI) study. Developments of Regional Impact (DRIs) are large-scale developments that are likely to have regional effects beyond the local government jurisdiction in which they are located. This process provides for the specific impact of a development to be determined and includes both positive and negative considerations. Further, it is important to remember that even though a parcel may be zoned manufacturing, development conditions related to buffers, set-backs, water consumption/discharge, traffic, noise, electricity, drainage and other impacts can be conditioned prior to the development moving forward and permits being issued. In short, there is a tremendous amount of due diligence that is required to take place in order for a data center to develop in Lowndes County.
The next step in the process for any data center that might want to locate in Lowndes County on a parcel that is properly zoned would be for representatives to schedule and attend a Technical Review Committee (TRC) meeting. The Technical Review Committee is comprised of state and county employees that represent the departments involved in the development process, such as the department of health, utilities, planning and zoning, permitting and inspections, engineering, fire and rescue and others. From this meeting, requirements for developments are conveyed. If representatives considering a data center scheduled one of these meetings, this is where conversations related to requirements addressing water consumption/discharge, buffers, land disturbance, noise and other issues would be discussed. Permitting and operation of the facility would be conditioned upon Lowndes County’s ordinance-based requirements being met. Further, additional requirements can also be conditioned during this process. It is important to note that while these meetings are led at the staff level, the Lowndes County Board of Commissioners frequently attend these meetings to monitor communications and staff directions.
At this time, Lowndes County does not have an ordinance that specifically addresses requirements for data centers other than general light manufacturing standards, which the county agrees are not adequate. This DOES NOT mean that if project representatives wished to meet with the TRC prior to ordinance adoption that a project would be approved and permitted being that there is not an ordinance in place.
Currently, the Lowndes County Board of Commissioners has charged staff with gathering information from communities in Georgia that have experienced both positive and negative impacts from data centers. In addition, Commissioners are having conversations with their elected counterparts and the Association of County Commissioners of Georgia. There is a lot of information being discussed publicly regarding data center impacts. In an effort to understand this information first hand, Lowndes County is planning on making site visits to other projects, continuing conversations with interested stake holders-both for and against and reviewing ordinances that have been adopted in other communities that have faced challenges associated with data centers.
Speakers for and against at the Greater Lowndes Planning Commission (GLPC),
http://www.l-a-k-e.org/blog/?p=25097
Datacenter meeting at VSU, 2026-02-12:
Unprecedented transparency, Need much more due diligience, Datacenter meeting, VSU, Lowndes County, GA 2026-02-17
Lowndes County shares both the interests and concerns of all citizens as it relates to the development of data centers in Lowndes County. It is the intent of the county to move forward with openness and transparency regarding the development of policy and the accountability of developers. It would be unfair to say that a decision has been made to either allow or prohibit data centers in Lowndes County. There is a lot of research and exploration to be completed prior to the nature of an official policy being drafted. Lowndes County will continue to move forward with public reports regarding progress to include any official action taken with regards to engagement by a developer for a project location. At this time NO plans have been submitted or permits requested or issued for a data center in Lowndes County.
The next regularly scheduled meeting of the Lowndes County Board of Commissioners is scheduled for Tuesday, March 10, at 5:30 p.m., Lowndes County Administrative Building, 325 N Ashley Street, Valdosta. Contrary to reports on social media, there is no agenda item for discussion or consideration scheduled for tomorrow evening regarding data centers or a data center project. Citizens may fill out a Citizens Wishing to be Heard form prior to the meeting and address the Commission at the appropriate time, when called. Forms are required to be completed and turned into the County Clerk prior to the meeting being called to order at 5:30 p.m. Please know that the Lowndes County Board of Commissioners looks forward to working with citizens as the education process moves toward policy development.
Thank you.
There were five Citizens Wishing to Be Heard, all against datacenters, at the Tuesday, March 10, 2026, Regular Session of the Lowndes County Commission.
http://www.l-a-k-e.org/blog/?p=25555
One speaker thought datacenters should go out in the woods in the country. I beg to differ.
The next Lowndes County Commission Regular Session is tomorrow, Tuesday, March 23 24, 2026.
Once again, there is
nothing on the agenda about datacenters,
but there is Citizens Wishing to Be Heard.
http://www.l-a-k-e.org/blog/?p=25561
V-2025-07-08
REZ-2025-11 Langdale Capital Assets, Coleman Road, ~719 ac, C-C, R-1, & CON, to M-1 & CON, County Utilities
Commercial, Office, and Institutional Zoning Districts
PDF
Industrial and Intensive Zoning Districts
PDF
Rezoning Map for Langdale Capital Assets, Inc.
PDF
P-2025-06-30
4. REZ-2025-11 Langdale Capital Assets, Coleman Rd C-C R-1 CON to M-1 CON, 2025-06-30 @ GLPC, LAKE video
Pope Langdale spoke for, 2025-06-30 REZ-2025-11 @ GLPC, LAKE video
Against: Dr. Jeana B. Seemann, 4634 Briarberry Drive, 2025-06-30 REZ-2025-11 @ GLPC, LAKE video
Against: Gretchen Quarterman, 6565 Quarterman Road, 2025-06-30 REZ-2025-11 @ GLPC, LAKE video
Against: Jeana Strickland, ???? Briarberry Drive, 2025-06-30 REZ-2025-11 @ GLPC, LAKE video
Against: Windy Scott, 4629 Briarberry Drive, 2025-06-30 REZ-2025-11 @ GLPC, LAKE video
Against: Don Driebelbis, 4629 Rustic Ridge Road, 2025-06-30 REZ-2025-11 @ GLPC, LAKE video
-jsq
Investigative reporting costs money, for open records requests, copying, web hosting, gasoline, and cameras, and with sufficient funds we can pay students to do further research. You can donate to LAKE today!
http://www.l-a-k-e.org/blog/donate
Short Link:
![[5.b. REZ-2025-11 Langdale Capital Assets, Coleman Road, ~719 ac, C-C, R-1,]](http://www.l-a-k-e.org/govt/loco/2026-03-09--lcc-datacenters/5-b-REZ-2025-11.jpg)
![[to be developed into a large warehouse type campus.]](http://www.l-a-k-e.org/govt/loco/2026-03-09--lcc-datacenters/July-8-2025-Meeting-Packet-0009.jpg)
![[GLPC recommended approval 4:3 with the seven staff-recommended conditions.]](http://www.l-a-k-e.org/govt/loco/2026-03-09--lcc-datacenters/July-8-2025-Meeting-Packet-0010.jpg)
![[Page 13]](http://www.l-a-k-e.org/govt/loco/2026-03-09--lcc-datacenters/July-8-2025-Meeting-Packet-0013.jpg)
![[Page 14]](http://www.l-a-k-e.org/govt/loco/2026-03-09--lcc-datacenters/July-8-2025-Meeting-Packet-0014.jpg)
![[Page 15]](http://www.l-a-k-e.org/govt/loco/2026-03-09--lcc-datacenters/July-8-2025-Meeting-Packet-0015.jpg)
![[Page 16]](http://www.l-a-k-e.org/govt/loco/2026-03-09--lcc-datacenters/July-8-2025-Meeting-Packet-0016.jpg)
![[Page 17]](http://www.l-a-k-e.org/govt/loco/2026-03-09--lcc-datacenters/July-8-2025-Meeting-Packet-0017.jpg)
![[Page 18]](http://www.l-a-k-e.org/govt/loco/2026-03-09--lcc-datacenters/July-8-2025-Meeting-Packet-0018.jpg)
![[Page 19]](http://www.l-a-k-e.org/govt/loco/2026-03-09--lcc-datacenters/July-8-2025-Meeting-Packet-0019.jpg)
![[Page 20]](http://www.l-a-k-e.org/govt/loco/2026-03-09--lcc-datacenters/July-8-2025-Meeting-Packet-0020.jpg)
![[Page 21]](http://www.l-a-k-e.org/govt/loco/2026-03-09--lcc-datacenters/July-8-2025-Meeting-Packet-0021.jpg)
![[Page 22]](http://www.l-a-k-e.org/govt/loco/2026-03-09--lcc-datacenters/July-8-2025-Meeting-Packet-0022.jpg)
![[Zoning Location Map]](http://www.l-a-k-e.org/govt/loco/2026-03-09--lcc-datacenters/July-8-2025-Meeting-Packet-0024.jpg)
![[Future Development Map]](http://www.l-a-k-e.org/govt/loco/2026-03-09--lcc-datacenters/July-8-2025-Meeting-Packet-0025.jpg)
![[WRPDO Site Map]](http://www.l-a-k-e.org/govt/loco/2026-03-09--lcc-datacenters/July-8-2025-Meeting-Packet-0026.jpg)