Data Center Prospects in Lowndes County --Lowndes County, GA 2026-03-09 [Up]
LAKE blog post:
Items received in response to a LAKE open records request:
Data Center Prospects in Lowndes County, by Lowndes County, GA, 2026-03-09
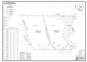
5.b. REZ-2025-11 Langdale Capital Assets, Coleman Road, ~719 ac, C-C, R-1,
to be developed into a large warehouse type campus.
PDF
4. REZ-2025-11 Langdale Capital Assets, Coleman Rd C-C R-1 CON to M-1 CON, 2025-06-30 @ GLPC, LAKE video
Pope Langdale spoke for, 2025-06-30 REZ-2025-11 @ GLPC, LAKE video
Against: Dr. Jeana B. Seemann, 4634 Briarberry Drive, 2025-06-30 REZ-2025-11 @ GLPC, LAKE video
Against: Gretchen Quarterman, 6565 Quarterman Road, 2025-06-30 REZ-2025-11 @ GLPC, LAKE video
Against: Jeana Strickland, ???? Briarberry Drive, 2025-06-30 REZ-2025-11 @ GLPC, LAKE video
Against: Windy Scott, 4629 Briarberry Drive, 2025-06-30 REZ-2025-11 @ GLPC, LAKE video
Against: Don Driebelbis, 4629 Rustic Ridge Road, 2025-06-30 REZ-2025-11 @ GLPC, LAKE video
5.b. REZ-2025-11 Langdale Capital Assets, Coleman Road, ~719 ac, C-C, R-1,
to be developed into a large warehouse type campus.
PDF
4. REZ-2025-11 Langdale Capital Assets, Coleman Rd C-C R-1 CON to M-1 CON, 2025-06-30 @ GLPC, LAKE video
Pope Langdale spoke for, 2025-06-30 REZ-2025-11 @ GLPC, LAKE video
Against: Dr. Jeana B. Seemann, 4634 Briarberry Drive, 2025-06-30 REZ-2025-11 @ GLPC, LAKE video
Against: Gretchen Quarterman, 6565 Quarterman Road, 2025-06-30 REZ-2025-11 @ GLPC, LAKE video
Against: Jeana Strickland, ???? Briarberry Drive, 2025-06-30 REZ-2025-11 @ GLPC, LAKE video
Against: Windy Scott, 4629 Briarberry Drive, 2025-06-30 REZ-2025-11 @ GLPC, LAKE video
Against: Don Driebelbis, 4629 Rustic Ridge Road, 2025-06-30 REZ-2025-11 @ GLPC, LAKE video
|