Lowndes Area Knowledge Exchange (LAKE)
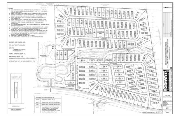
Map: CONCEPTUAL SITE PLAN - K
REZ-2026-06 Val Del Mobile Home Park, ~34ac, 3910 Val Way, R-A & P-D to P-D, County Utilities
Packet: One-Valdosta Lowndes Report, 3 Rezonings, 1 Subdivision, Paving, Alcohol, Housing Loan, LMIG @ LCC
9 March 2026
bigger
PDF
Photographs
by
Lowndes Area Knowledge Exchange (LAKE)
,
licensed by a
Creative Commons Attribution-Share Alike 3.0 U.S. License
.
Lowndes Area Knowledge Exchange (LAKE)