Lowndes Area Knowledge Exchange (LAKE)
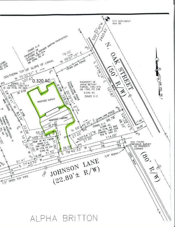
Map: Proposed Duplex and Proposed Parking
5. VA-2026-01 Alpha Britton, Johnson Lane
Packet: Lake Laurie Drive case withdrawn, another Valdosta case, 2 county cases @ GLPC
30 March 2026
bigger
PDF
Photographs
by
Lowndes Area Knowledge Exchange (LAKE)
,
licensed by a
Creative Commons Attribution-Share Alike 3.0 U.S. License
.
Lowndes Area Knowledge Exchange (LAKE)